Un fenómeno natural sorprendente: pájaros atrapados en el ojo del huracán Melissa
Durante el proceso migratorio en busca de un clima más cálido para el invierno, miles de pájaros tropicales fueron sorprendidos por el huracán Melissa. Estos animales volaban en círculos dentro del ojo del huracán, un fenómeno inusual detectado por la agencia científica estadounidense NOAA (Administración Nacional Oceánica y Atmosférica).
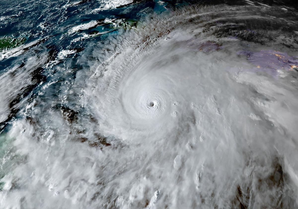
El ojo del huracán: un remanso de aire pero una trampa peligrosa
El ojo de un huracán es conocido por su relativa calma y ausencia de lluvia, pero en el caso de Melissa, miles de pájaros quedaron atrapados en esta zona precisamente por los vientos internos que los rodeaban y que les impedían escapar. Estos vientos forman un «muro» que imposibilita que las aves puedan salir, dejándolas a merced de la tormenta.
Matthew Cappucci, meteorólogo que compartió las imágenes a través de la red social X, explicó que muchos de estos pájaros no pueden escapar hasta que la tormenta pierde intensidad y que a veces solo lo consiguen si encuentran una isla donde posarse y refugiarse. En alta mar no disponen de un lugar seguro donde descansar y algunos aves agotan sus fuerzas y fallecen.
Detección gracias a un avión cazador de huracanes
La agencia NOAA utilizó un avión cazador de huracanes para estudiar y predecir el desarrollo de Melissa mientras ésta avanzaba hacia Jamaica con una potencia muy elevada. Fue durante este vuelo cuando se detectó la presencia de decenas de miles de pájaros volando en círculos dentro del ojo.
El impacto de este fenómeno no es solo una curiosidad meteorológica, sino que pone en evidencia el impacto de las tormentas sobre el comportamiento de la fauna migratoria y las dificultades que enfrentan los animales en situaciones climatológicas extremas.
Casos similares en huracanes anteriores
Cappucci recordó que no se trata de un fenómeno aislado. En años anteriores, como durante el huracán Ian en 2022 y el huracán Idalia en 2023, se observaron bandadas de aves atrapadas en el ojo de la tormenta, desorientadas y luchando contra los vientos.
El huracán Melissa y su impacto previsiblemente devastador en Jamaica
Mientras tanto, Melissa continúa su avance con gran intensidad hacia Jamaica, donde se espera que afecte a alrededor de 1,5 millones de personas, según reportes de la Cruz Roja. Este huracán ha sido catalogado como uno de los más fuertes registrados en el Atlántico, causando preocupación ante posibles daños en infraestructura, viviendas y la vida silvestre local.
La llegada de Melissa a tierra firme ha sido documentada por medios especializados y agencias meteorológicas, que la describen como un fenómeno con una potencia desmedida y que obligará a las poblaciones a tomar medidas urgentes de precaución y protección.
Las dificultades para la fauna migratoria en medio de fenómenos extremos
Este caso pone en manifiesto las dificultades que enfrentan las especies migratorias ante fenómenos meteorológicos extremos. En particular, las aves que migran largas distancias en busca de condiciones más favorables para el invierno pueden quedar atrapadas sin posibilidades de refugio seguro dentro de la dinámica de un huracán.
Además del agotamiento por el vuelo prolongado y las condiciones climáticas, los pájaros sufren la falta de espacios para posarse, quedando a merced de las turbulencias y afectaciones del medio ambiente generadas por la tormenta.
¿Qué podemos aprender de este suceso?
Estos eventos sirven para profundizar el estudio de cómo los cambios climáticos y meteorológicos influyen en los comportamientos animales, especialmente en aves migratorias que dependen de patrones climáticos predecibles para su supervivencia.
Especialistas en medio ambiente y meteorología continúan observando estos fenómenos para mejorar los modelos de predicción y entender mejor la interacción entre fauna y clima en escenarios extremos, buscando maneras para minimizar impactos negativos tanto en humanos como en la biodiversidad.
Enlaces de interés
- Centro Nacional de Huracanes NOAA
- Cruz Roja Española
- Noticia relacionada: Melissa toca tierra en Jamaica
Imagen: www.abc.es




